?
2015-04-02 09:28?來源:溫州視線

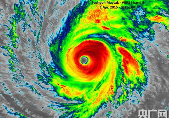
超強臺風美莎克衛星云圖
超強臺風美莎克衛星云圖看起來臺風眼清晰明顯,這是2015年3月31日空間站的宇航員拍的,這是美莎克接近最大強度時候的衛星云圖,今年第4號臺風美莎克最新臺風實況顯示,4號臺風的強度已經由最強的65米/秒減弱為52米/秒,路徑保持向西偏北移動。

超強臺風美莎克衛星云圖

今年第4號臺風美莎克最新路徑圖
2015年3月31日晚上8點到4月1日凌晨2點,是今年第四號臺風美莎克鼎盛時間,強度竟然達到65米/秒,風力17級以上。到了4月1日上午8點,美莎克強度降低為62米/秒,到4月1日晚上8點,整整一個白天,美莎克強度從65米/秒降低到55米/秒。

超強臺風美莎克衛星云圖

超強臺風美莎克衛星云圖
從溫州臺風網同步中央氣象臺的衛星云圖上看,目前美莎克外圍云系薄弱,預計超強臺風美莎克將持續減弱,登陸菲律賓以后,美莎克風力可能會降到12級以下。
臺風美莎克未來一周不會影響溫州。
本文“”來源:http://www.f0574.cn/weather/taifeng/58200.html,轉載必須保留網址。編輯: yujeu